시베리아와 알타이 지역의 혹독한 환경에서도 아마추어 포도 재배자들은 즙이 많고 달콤한 포도를 재배합니다. 서리에 강한 품종 중 하나는 "파먀티 돔브코프스카야(Pamyati Dombkovskaya)" 품종입니다. 짧은 북반구의 여름에도 잘 자라 풍성한 수확을 거둘 수 있습니다.
품종의 특징
"파먀티 돔브코프스카야"는 1993년 저명한 육종가 표도르 샤틸로프에 의해 육종되었습니다. 처음에는 ChBZ(검은 씨 없는 겨울 내한성 품종)라는 전문 용어가 사용되었지만, 나중에 현재의 이름을 얻게 되었습니다.
이 잡종은 선별적으로 개량된 품종 "자리야 세베라(Zarya Severa)"와 "키슈미시 유니크(Kishmish Unique)"의 후손입니다. 이 품종들을 통해 서리 저항성과 씨 없는 열매의 독특한 풍미를 물려받았습니다. 이 품종의 가장 큰 특징은 빠른 성장입니다.
짧은 여름 동안 큰 덤불이 자라고 맛있고 즙이 많은 열매가 익습니다. "유니크 키슈미시"처럼 포도는 씨가 없습니다. 이 포도는 조기 숙성 포도로 간주됩니다. 포도송이는 생장기가 시작된 후 90일 이내에 익습니다. 수확은 8월 중순에서 9월 초까지 가능합니다. 특히 더운 여름에는 열매가 더 일찍 익습니다.
포도는 익자마자 바로 수확할 필요는 없습니다. 많은 포도 재배자들은 열매가 햇볕을 충분히 흡수할 수 있도록 늦가을까지 포도송이를 포도나무에 그대로 둡니다. 수확이 잘 되면 더욱 달콤해집니다.
제대로 심으면 묘목이 빠르게 자라고 성장합니다. 2년차부터 열매를 맺기 시작합니다. 5년차에는 상당한 수확을 거둘 수 있습니다. 제대로 관리하면 한 그루의 나무에서 평균 150kg의 열매를 수확할 수 있습니다.
이 품종은 서리에 강합니다. 가벼운 덮개만 있으면 영하 28°C까지 견딜 수 있습니다. 추운 겨울에는 더욱 세심한 덮개가 필요합니다. 이 포도나무는 악천후에도 잘 자랍니다. 북위도 지역의 척박한 토양에서도 포도가 잘 자랍니다.
"파먀티 돔브코프스카야"는 식용 포도 품종으로 분류됩니다. 하지만 와인 생산자들은 이 포도가 다재다능하다고 주장합니다. 이 포도는 생으로 먹어도 맛있고, 잼이나 콩포트를 만들 때 사용할 수 있으며, 고기 요리와 함께 곁들여 먹을 수도 있습니다. 또한, 말려서 건포도를 만들 수도 있습니다. 잘 익은 포도는 훌륭한 수제 와인을 만드는 데 사용됩니다.
문화에 대한 설명
포도나무는 잘 발달되어 있고 튼튼합니다. 따뜻한 계절에는 덩굴이 최대 5미터까지 자랄 수 있습니다. 나무껍질은 연한 갈색이고 매끄럽습니다. 잎은 녹색이고 톱니가 있으며 세 갈래로 갈라지고 뚜렷한 맥이 있습니다. 잎자루가 길고 밑면에 털이 있습니다. 털은 얇고 거미줄을 연상시킵니다.
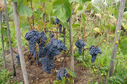
꽃은 양성화이며 섬세합니다. 이 식물은 추가 수분이 필요하지 않습니다. 열매는 크고 둥글며 청흑색입니다. 표면은 얇은 흰색 왁스 층으로 덮여 있습니다. 열매는 달콤하고 시큼한 맛이 납니다. 특히 햇볕이 잘 들고 따뜻한 여름에는 자당 함량이 20%에 달할 수 있습니다.
과일 껍질은 두껍고 날씨에 강합니다. 습기에 노출되어도 갈라지지 않고 잘 견딥니다. 과육은 라일락색으로 단단하고 바삭합니다. 씨는 전혀 없지만, 가끔 부드러운 부분이 있을 수 있습니다.
송이는 아름답고 원뿔 모양이며 적당히 느슨합니다. 가지치기할 때 송이 세 개를 남겨 두면 각 송이의 무게는 약 400~700g입니다. 덤불 하나에 송이가 하나만 있으면 풍성한 여름에 최대 1kg까지 나갈 수 있습니다.
품종의 장단점
아마추어 와인 재배자들에 따르면, "팜야트 돔브코프스카야"는 사실상 결함이 없다고 합니다. 이 품종은 다음과 같은 특징을 가지고 있습니다.
- 지구력;
- 내동성;
- 조기 성숙;
- 다양한 적용 가능성
- 비옥;
- 질병에 대한 저항력.
이 품종의 유일한 단점은 습한 기후에 대한 내성이 약하다는 것입니다. 면역력이 약해져 곰팡이병에 쉽게 걸리고, 흰가루병, 잿빛곰팡이병, 흰가루병에 대한 저항성이 약합니다.
품종별 농업기술의 특징
포도 재배의 성공을 위해서는 다음과 같은 농업 조치를 취하는 것이 필요합니다.
착륙
'파먀티 돔브코프스카야' 포도 품종은 햇볕을 좋아하는 품종이므로 남향에 심어야 합니다. 가장 좋은 방법은 집의 남동쪽이나 남서쪽에 심는 것입니다. 이렇게 하면 식물이 더 많은 열을 받을 수 있습니다.
포도는 검은 흙이나 양토를 선호합니다. 토양이 척박하면 심기 전에 썩은 거름이나 퇴비와 같은 유기물을 넣어주세요. 토양이 산성이면 석회를 넣어 중화시켜 주세요.
나무를 심을 때는 지하수위에 주의하세요. 지하수위가 표토와 가까우면 배수 시스템을 설치하거나 더 높은 곳에 나무를 심는 것이 좋습니다.
심기 전에 묘목을 준비해야 합니다. 먼저 썩거나 약한 묘목을 골라냅니다. 선별된 가지의 가장자리를 잘라내어 잘린 부분이 녹색이 되도록 합니다. 그런 다음 뿌리를 튼튼하게 하기 위해 물에 담급니다.
구멍을 표시할 때는 간격을 고려하는 것이 중요합니다. 심는 모 사이의 간격은 최소 1.5미터, 줄 사이의 간격은 3미터여야 합니다. 집이나 창고 벽과의 거리는 최소 40cm, 울타리와의 거리는 약 1미터가 되어야 합니다.
구덩이는 1미터 깊이로 파야 합니다. 깨진 벽돌이나 쇄석을 바닥에 깔고 다집니다. 그다음 모래와 퇴비를 섞은 검은 흙을 덧대어 다집니다. 준비된 구덩이는 14일에서 30일 동안 그대로 두어야 합니다. 그런 후에야 묘목을 심습니다.
구멍 중앙에 못을 박고 철사를 묶습니다. 이 못은 나중에 자랄 덤불을 지탱하는 역할을 합니다. 묘목은 못 근처에 심고 흙으로 덮습니다. 심는 동안 유기물을 넣고, 묘목에 물을 넉넉히 줍니다. 마른 풀과 양파 껍질로 조심스럽게 덮어줍니다.
트리밍
좋은 생장과 열매 맺기를 위해서는 가지치기가 필요합니다. 첫 번째 가지치기는 8월 말에 합니다. 이는 식물이 겨울을 준비하고 충분한 힘을 얻을 수 있도록 하기 위한 것입니다. 덩굴을 20~40cm 정도 짧게 자르고 위쪽 가지를 잘라냅니다.
두 번째 가지치기는 잎이 완전히 떨어진 10월에 실시합니다. 가장 생장력이 강한 어린순을 골라내고 나머지는 가지치기합니다. 열매를 맺은 어린순은 싹이 두 개로 줄어들도록 잘라냅니다. 남은 어린순은 싹이 7~14개로 줄어들도록 잘라냅니다.
가지치기 후에는 포도나무에 황산구리 용액을 처리합니다. 겨울을 나고 난 봄에는 죽은 가지를 잘라냅니다. 봄에는 가지를 완전히 가지치기하지 않는 것이 좋습니다. 잘라낸 부분에서 수액이 흘러나와 포도나무가 말라죽기 때문입니다.
꼬집고 솎어내기
덤불이 자라면서 빈 곁순이 형성됩니다. 이 곁순은 송이를 맺지 않습니다. 하지만 자라면서 열매를 맺은 덩굴에서 영양분을 흡수합니다. 따라서 곁순은 봄에 완전히 제거해야 합니다.
측면 전정은 봄, 여름, 가을에 실시합니다. 식물 전체를 동시에 검사합니다. 약하고 손상된 새싹은 제거합니다.
또한, 포도나무의 푸른 싹을 솎아내야 합니다. 익어가는 열매에 더 많은 햇빛을 제공하기 위해 포도송이 주변의 잎을 완전히 제거합니다. 잎을 솎아내지 않으면 포도가 완두콩 모양으로 자라기 쉽습니다.
열매의 품질도 떨어집니다. 그늘에서 익으면 단맛이 사라지고, 맛은 시큼해지고 약간 쓴맛이 납니다.
물주기와 비료주기
이른 봄과 열매 맺기 전에는 유기질 비료와 무기질 비료를 뿌리에 시비하고, 개화 전후에는 질소 함유 비료를 잎에 시비합니다.
열매가 맺히면 붕소와 아연을 잎에 시비하는 것이 좋습니다. 마지막 시비는 수확 직전 가을에 해야 합니다. 잎이 빠르게 자라기 시작하므로 더 자주 시비하는 것은 권장하지 않습니다.
물을 자주 주지 않는 것이 좋습니다. 첫 번째 물주기는 이른 봄에 해야 합니다. 개화기인 6월에 다시 물주기를 시작해야 합니다. 포도는 일주일에 한 번 이상 물을 주지 않아야 합니다. 깨끗하고 햇볕에 데워진 물을 사용하는 것이 좋습니다. 포도가 색깔이 변하기 시작하면 물주기를 멈추세요.
질병 및 해충 방제
'팜야트 돔브코프스카야'는 잿빛곰팡이병, 흰가루병, 흰가루병에 대한 면역력이 약합니다. 특히 습하고 비가 많이 오는 날씨에는 약해지기 쉽습니다. 따라서 예방 차원에서 계절 내내 살포해야 합니다.
이 과정은 탱크 혼합물을 사용하여 수행됩니다. 여러 물질을 하나의 용기에 혼합합니다. 이 방법은 곰팡이 포자를 제거할 뿐만 아니라 해충도 박멸합니다. 이러한 혼합물은 작물에 좋은 잎 비료로도 사용할 수 있습니다.
햇볕에 젖은 잎이 타는 것을 방지하기 위해 해가 진 후에 살포합니다. 혼합물을 준비할 때는 서로의 호환성을 고려해야 합니다. 초보 포도 재배자는 이 방법을 숙달하기 위해 많은 노력을 기울여야 할 것입니다.
혼합액을 한 번만 관개하는 것은 질병 예방에 도움이 되지 않습니다. 혼합액을 살포할 때는 다음 일정에 따라야 합니다.
- 이른 봄에 덤불을 가지친 후.
- 꽃이 피기 전.
- 난소가 나타나면.
- 포도나무를 덮기 전.
겨울을 준비하다
남부 지역에서는 "파먀티 돔브코프스카야(Pamyati Dombkovskaya)" 품종은 보호되지 않습니다. 포도나무를 수확하여 구부린 후 땅에 눕힙니다. 혹독한 북부 겨울에는 포도나무를 조심스럽게 보호해야 합니다.
가문비나무 가지를 땅에 깔고, 그 위에 구부린 포도나무 덩굴을 올려놓습니다. 그 위에 가문비나무 가지를 더 올려놓습니다. 가지 끝은 첫서리가 내릴 때까지 그대로 둡니다. 포도나무를 습기로부터 보호하기 위해 윗부분은 부직포로 덮습니다.
외부 기온이 영하 5도까지 떨어지면 보호소를 흙으로 덮습니다. 어떤 지역에서는 눈이 이 역할을 합니다. 눈이 많이 내리면 열을 잘 보존합니다. 덩굴은 이러한 방식으로 겨울을 잘 견딥니다.
아마추어 와인 재배자들의 리뷰
이네사, 38세
"돔브코프스카야를 추모하며" 품종을 제 정원에서 6년째 키우고 있습니다. 심고 2년 차부터 열매가 맺히기 시작했어요. 이번 겨울에는 덮개를 씌우지 않았어요. 얼어붙을까 봐 걱정했는데, 다행히 잘 견뎌냈어요. 그런데 이번 여름 수확량은 저조했어요. 포도는 정말 마음에 들어요. 다만 유일한 단점은 흰가루병에 약하다는 거예요. 계절마다 여러 번 처리해야 하니까요.
블라디미르, 47세
제 밭의 포도는 8월 하반기에 익습니다. 송이가 크고 무게도 1kg이나 나가죠. 저는 포도의 풍미와 씨가 없다는 점이 마음에 들어요. 수확한 포도는 대부분 와인으로 가공됩니다.
니키타, 51세
덤불은 10년 됐어요. 여름에 빨리 자라요. 덩굴도 튼튼하고요. 거의 재배하지 않아서 식물이 아프지도 않아요. 사람들은 열매가 시큼하다고 하는데, 그건 사실이 아니에요. 제 열매는 아주 달콤하게 익어요. 유일한 단점은 열매가 좀 작다는 거예요. 송이가 너무 빽빽해요.
아르세니, 13세
아주 좋은 품종입니다. 강건하고 열매가 풍성합니다. 짧고 추운 여름에도 열매는 달콤하고 시큼하게 익습니다. 저는 길게 가지치기를 하고 9월에 수확합니다. 비교적 따뜻한 기후를 가진 식물로 여겨지지만, 저는 튼튼한 덮개를 제공합니다. 우리 지역의 겨울은 혹독해서 때로는 영하 40도까지 내려갑니다. 하지만 포도를 포기할 생각은 없습니다. 이 품종은 우리 지역에서 재배되는 포도 중 최고입니다.
"팜야트 돔브코프스카야" 포도 품종은 러시아 북부의 아마추어 와인 재배자들에게 매우 인기가 높습니다. 춥고 척박한 기후에서도 잘 자라며 과일을 생산합니다. 달콤하고 신맛이 나는 베리류를 재배하여 맛있는 잼과 와인을 만듭니다.

포도원의 일반 청소: 필수 활동 목록
와인용 포도 수확 시기
포도는 씨앗이 있어도 먹을 수 있나요? 건강상의 이점과 위험
포도씨 오일 - 특성 및 용도, 이점 및 금기 사항